Property Description

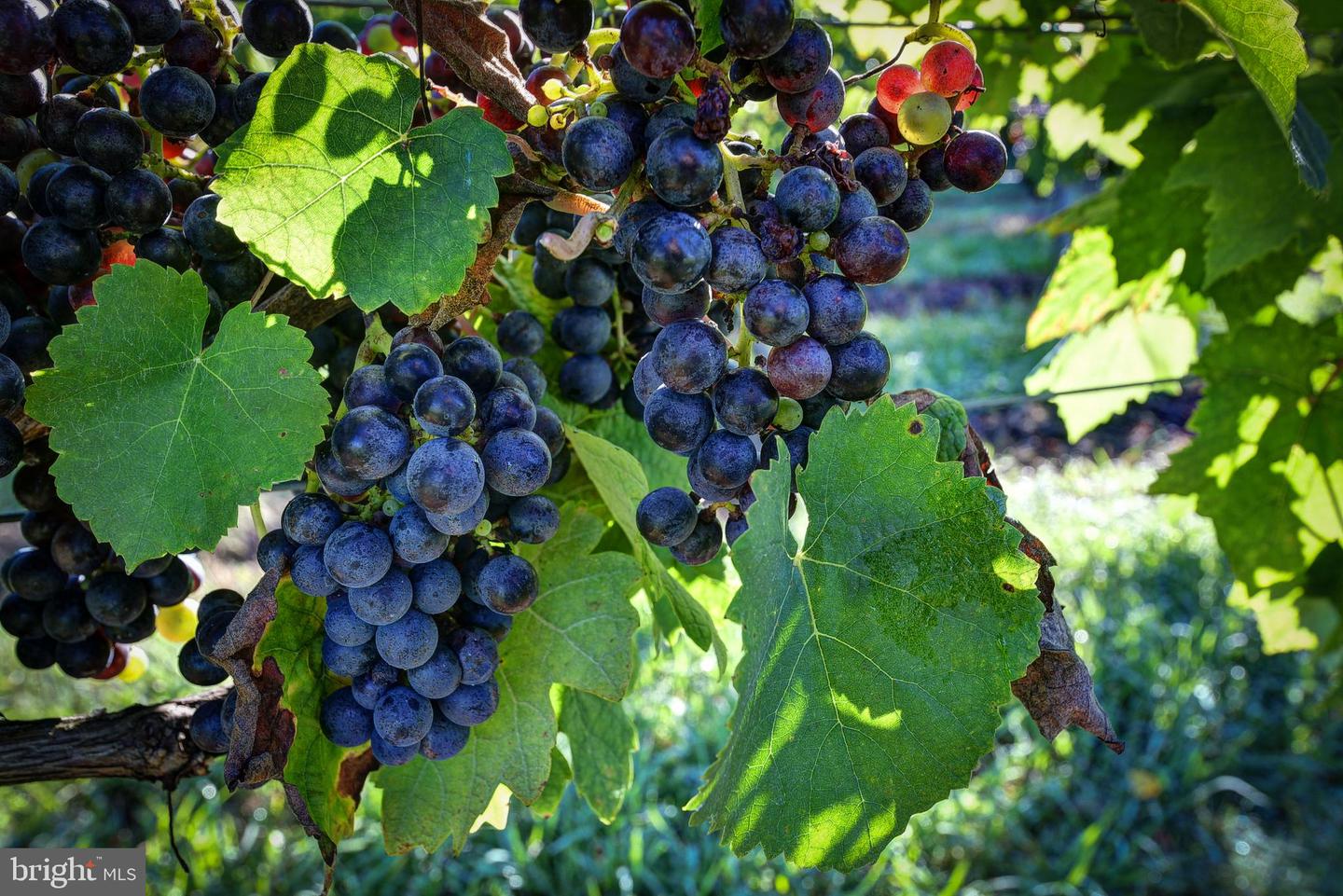
Good Luck Cellars, in Kilmarnock, Virginia is one of the premier wineries and event venues on the Northern Neck of Virginia and the entire Chesapeake Bay Wine Region. The vineyard is set upon a vast pastoral landscape which is bordered by Norris Prong and features several water features and ponds. Good Luck Cellars is a gathering place which draws from the communities of Kilmarnock, Irvington, White Stone, Tappahannock, Wicomico Church, Reedville, Urbanna, Gloucester, Mathews, Williamsburg and beyond. It is not uncommon to find patrons from Virginia Beach, Richmond, Northern Virginia and beyond. As a gathering place for friends, family, weddings, celebrations and for relaxing afternoons on the veranda, "Good Luck" has established itself as one of the premier wineries and event venues in Eastern Virginia. There is always something going on at Good Luck Cellars. The vineyard encompasses 25 acres of well cultivated vines, including: Petit Verdot – 4ac, Voignier – 2ac, Chardonel – 4ac, Cabernet Sauvignon – 3ac, Vidal Blanc – 1ac, Vignoles – 2ac, Traminetts – 1ac, Cabernet Franc – 1ac, Chambourcin – 1ac, Seyval Blanc – 1ac, Norton – 4ac, Chardonnay – 1ac. The offering of Good Luck Cellars for Purchase is a Turn-Key Offering. Winery, Tasting Room, Wine Production Building with Garage, Office and 2 br apartment encompasses 11,800 sq. ft, with a Tractor and Farm Equipment Building encompassing 1,860 Sq. Ft. GLC’s West Bldg encompasses 6,000+ sq. ft. with vineyard managers apartment, cold wine storage & more. 13+ vineyard dogs, (who are celebrities in their own right), patrol the vineyard day and night. Canine amenities include 4 dog condos and invisible fencing througout the vineyards. The offering of Good Luck Cellars presents the buying opportunity of a lifetime to purchase a turn-key, award winning winery on the highly sought after Northern Neck of Virginia. Offering includes all winery and business related furnishings, fixtures, and equipment. Wine Inventory not included.

Features
: Central, Zoned, Programmable Thermostat
: Geothermal
: Outside Entrance, Heated, Walkout Level, Rear Entrance, Improved, Shelving, Workshop, Other, Interior Access, Poured Concrete, Drain, Drainage System
: Stone, Fireplace - Glass Doors, Wood
: Hardwood, Ceramic Tile, Wood, Concrete
: Stream/creek, Landscaping, Partly Wooded, Pond, Premium, Vegetation Planting, Open, Other, Rural, Road Frontage, Hunting Available, Year Round Access
: Public Septic, On Site Septic
: Above Grade
: Public, Well
: Metal, Architectural Shingle
Address Map
US
Virginia
LANCASTER
KILMARNOCK
NONE
22482
1025 GOOD LUCK RD
0
W77° 37' 3.4''
N37° 44' 13.2''
Additional Details
: Lancaster
: Lancaster
: Lancaster
: Other, Cabin/lodge, Dwelling W/separate Living Area, Recreational Camp
: Settlement
$296
2024
$6,548
3325747
Karin J Andrews
Get Direction

1025 GOOD LUCK RD, KILMARNOCK, Virginia 22482

11,800 Sqft
$3,495,000
ID #VALV2000786
Basic Details
Property Type : Farm
Price : $3,495,000
Floor Size : 11,800 Sqft
Year Built : 2005
Lot : 135.90 Acre
Contact Agent
Contact Agent

     

     

     

     


    For immediate response contact RICK WALDEN 434-981-5923, RICK@VIRGINIAESTATES.COM.
    VirginiaFarmsforsale.com uses MLS data from Charlottesville Area Association of Realtors, Richmond Association of Realtors, Chesapeake Bay & Rivers Association, and Bright MLS to generate real estate listings for sale on this website. This information is deemed to be reliable, but not guaranteed. VirginiaFarmsforsale.com has attempted to offer accurate data, but buyers are advised to confirm all items from IDX and from this website. represents the interest of the seller VALV2000786. What is IDX? According to IDXBroker.com, IDX (Internet Data Exchange) allows agents and brokers to access and display MLS listing information on their real estate websites. Also known as Broker Reciprocity, the term "IDX" refers to the software, rules and regulations which allow MLS data to show on your site. This data feed typically encompasses the listing data for properties entered into the MLS system, while IDX rules may determine where, what, and how it is displayed.
    For buyer representation by VirginiaFarmsforsale.com contact RICK WALDEN 434-981-5923, RICK@VIRGINIAESTATES.COM.